รหัสทรัพย์ : LED260220957051 รหัสหน่วยงาน : 1995476

ทาวน์เฮ้าส์

ประมูล
โพสวันที่ 20 ก.พ. 2569 ปรับปรุงวันที่ 20 ก.พ. 2569 0
กุสุมาลย์, สกลนคร
สถานะการขาย : โปรดติดต่อหน่วยงาน
สถานะทรัพย์ : โปรดติดต่อ
error

วิดีโอไม่พบ

error

ไม่พบ 360°

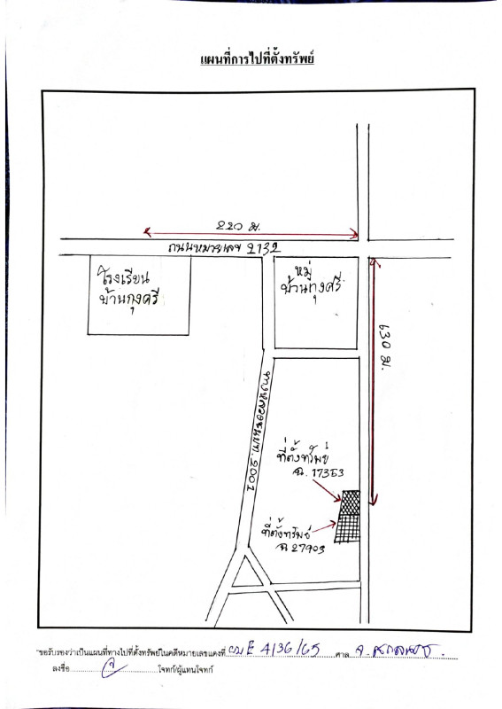
ตำแหน่งที่ตั้ง


ข้อมูลที่อยู่อาศัย

  • 17353
  • 0 ไร่, 0 งาน, 35 ตร.ว.

รายละเอียดการติดต่อ

  • นางธมลพรรณ ชาบัว,นางสาวรุ่งทิวา ภูคงคำ
  • สกลนคร
  • กรมบังคับคดี
  • (042)716297-8

รายละเอียดทรัพย์สิน

ศาล: จังหวัดสกลนคร
ล็อตที่ - ชุดที่: 4/2569 - สกลนคร
คดีหมายเลขแดงที่: ผบE.4136 / 2565
หมายเหตุ*: ขายรวมกับที่ดินโฉนดเลขที่ 27903,  ราคาประเมินรวม 516,803 บาท

ข้อมูลการประมูลทรัพย์

  • จะทำการขายโดย: การจำนองติดไป
  • ยอดหนี้จำนอง: ไม่มี
  • ราคาประเมินของผู้เชี่ยวชาญการประเมินราคา: ไม่มี
  • ราคาประเมินของเจ้าพนักงานบังคับคดี: ไม่มี
  • ราคาประเมินของเจ้าพนักงานประเมินราคาทรัพย์กรมบังคับคดี: ไม่มี
  • ราคาที่กำหนดโดยคณะกรรมการกำหนดราคาทรัพย์: ไม่มี
  • วันที่ประกาศขึ้นเว็บกรมบังคับคดี: ไม่มี

กรณีขายรวม ขอให้่ตรวจสอบรายละเอียดของรายการที่ขายลำดับเดียวกับทุกทรัพย์

เงื่อนไขผู้เข้าสู้ราคา

  • ผู้ประสงค์จะเข้าเสนอราคาต้องวางหลักประกันเป็นจำนวน: ไม่มี
  • เว้นแต่เป็นผู้มีสิทธิ์หักส่วนได้ใช้แทน หรือคู่สมรสที่ศาลมีคำสั่งอนุญาตให้กันส่วนแล้ว ต้องวางหลักประกันเป็นจำนวน: ไม่มี

ประวัติการประมูลทรัพย์

นัดที่ วันที่ สถานะการประมูล
1 30 เม.ย. 2569 -
2 21 พ.ค. 2569 -
3 11 มิ.ย. 2569 -
4 02 ก.ค. 2569 -
5 23 ก.ค. 2569 -
6 13 ส.ค. 2569 -
ราคาที่ปรากฏเป็นราคาประเมินในฐานข้อมูลกรมบังคับคดี ไม่ใช่ราคาประกาศขายและราคาประมูล กรุณาติดต่อกรมบังคับคดี หรือตรวจสอบข้อมูลในเว็บไซต์กรมบังคับคดี โดยคัดลอกเลขแดง(ป้อนลงในช่องหมายเลขคดี) ปี(ป้อนลงในช่องปี พ.ศ.) และศาล(เฉพาะชื่อศาลลงในช่องศาล)

ทั้งนี้บางรายการที่ปรากฏในเว็บไซต์นี้ อาจทำการขายไปแล้ว กรุณาตรวจสอบข้อมูลที่ถูกต้องล่าสุดกับกรมบังคับคดีตามข้อมูลรายละเอียดการติดต่อ

หมายเหตุ :
ข้อมูลที่ปรากฏในเว็บไซต์นี้ ศูนย์ข้อมูลฯ ได้รับมาจากแหล่งข้อมูลที่เชื่อถือได้ โดยได้ตรวจสอบจนมั่นใจในระดับหนึ่งแล้ว แต่ศูนย์ข้อมูลฯ ไม่สามารถยืนยันความถูกต้องหรือความเป็นจริง และไม่อาจรับผิดชอบต่อความเสียหายที่เกิดขึ้นไม่ว่ากรณีใดๆ จากการใช้ข้อมูล ผู้นำข้อมูลไปใช้พึงใช้วิจารณญาณและตรวจสอบตามความเหมาะสม
ศูนย์ข้อมูลฯ ได้ทำการตรวจสอบตำแหน่งที่ตั้งทรัพย์บนแผนที่ที่ปรากฎอยู่บนเว็บไซต์ โดยอาศัยข้อมูลจากแหล่งข้อมูลต่างๆ ที่เชื่อถือได้ เพื่อให้ตำแหน่งทรัพย์บนแผนที่ ใช้อ้างอิงท่านไปยังที่ตั้งของทรัพย์นั้นๆ โดยประมาณ ทั้งนี้ศูนย์ข้อมูลฯ ไม่สามารถยืนยันความถูกต้องของตำแหน่งทรัพย์ได้ ดังนั้น ทางศูนย์ข้อมูลฯ ขอสงวนสิทธิ์ไม่รับผิดชอบต่อข้อผิดพลาดทางตำแหน่งทรัพย์ที่เกิดขึ้นบนแผนที่ ผู้นำข้อมูลไปใช้พึงใช้วิจารณญาณและตรวจสอบตามความเหมาะสม

แผนที่

ประวัติราคา

วันที่ เวลา ราคา ราคา / ตร.ว.
20 ก.พ. 2569 04:59:42 516,803 บาท 14,766 บาท
19 ก.พ. 2569 22:00:40 516,803 บาท 14,766 บาท

คำนวณค่าผ่อนบ้าน

516,803
บาท
บาท
ปี
%
2,300 บาท/เดือน
50%
2,300
บาท/เดือน
  • จำนวนดอกเบี้ย:
    1,152 บาท/เดือน
  • จำนวนเงินต้น:
    1,148 บาท/เดือน

หมายเหตุ:

การคำนวณเงินงวดคิดจากอัตราดอกเบี้ยที่ท่านระบุบวกร้อยละ 1 เพื่อให้ตัดชำระเป็นเงินต้น และผลลัพธ์จะปัดตัวกลมเป็นหลักร้อยบาท ทั้งนี้ ผลการประเมินจากเครื่องคำนวณสินเชื่อเป็นเพียงการประเมินวงเงินกู้ในเบื้องต้น ส่วนการอนุมัติสินเชื่อสงวนสิทธิ์เป็นไปตามหลักเกณฑ์ของธนาคาร

อัตราดอกเบี้ยสำหรับสินเชื่อบ้าน

หากคุณกำลังมองหาทางเลือกเพื่อขอสินเชื่อบ้านด้วยอัตราที่เหมาะสม คุณสามารถเลือกชมรายละเอียดสินเชื่อจากธนาคารเหล่านี้ และติดต่อทางธนาคารเพื่อขอความช่วยเหลือในการให้คำแนะนำ

สินเชื่อบ้านใหม่ - บ้านมือสอง

06 พ.ค. 2568
MRR 7.605%
  • อัตราดอกเบี้ยเฉลี่ย 3 ปีแรก* = 4.30%
  • ปีที่ 1-3 = 4.30%

โครงการบ้าน ธอส. สุขสบาย ปี 2568

06 พ.ค. 2568
MRR 6.545%
  • อัตราดอกเบี้ยเฉลี่ย 3 ปีแรก* = 5.302%
  • ปีที่ 1 - ปีที่ 2 = MRR - 2.00% ต่อปี
  • ปีที่ 3 = MRR - 1.00% ต่อปี

สินเชื่อบ้านกรุงศรีเพื่อซื้อที่อยู่อาศัย

06 พ.ค. 2568
MRR 7.175%
  • อัตราดอกเบี้ยเฉลี่ย 3 ปีแรก* = 5.050%
  • ปีที่ 1 = 4.65% ต่อปี
  • ปีที่ 2 = 5.00% ต่อปี
  • ปีที่ 3 = 5.50% ต่อปี

รายการทรัพย์ที่ใกล้เคียง

home_auction_icon
รหัสหน่วยงาน: 1815447
699,463 บาท
home_auction_icon
รหัสหน่วยงาน: 1837648
228,870 บาท
home_auction_icon
รหัสหน่วยงาน: 1939561
389,660 บาท
home_auction_icon
รหัสหน่วยงาน: 1789454
400,232 บาท

บทความน่ารู้

ดูทั้งหมด

5 เทคนิคเลือกซื้อบ้านมือสอง ฉบับคู่รักเริ่มต้นชีวิตคู่

คู่รักคู่ไหนที่ความรักสุกงอมจนถึงขั้นวางแผนจะใช้ชีวิตร่วมกัน "บ้าน" คงเป็นเป้าหมายอันดับต้นๆ ที่ทุกคนฝันถึง...

0

ปล่อยบ้านเก่า ซื้อบ้านใหม่? 5 ขั้นตอนวางแผนขายบ้านมือสองให้ได้ราคาดีที่สุด

เมื่อบ้านหลังเดิมที่อยู่มาหลายปีเริ่มรู้สึกว่า "พื้นที่ไม่พอ" หรืออยากขยับขยาย ไปอยู่ในทำเลที่ใกล้ที่ทำงานม...

58

ฟันธงปี 2569 ซื้อบ้านมือสอง VS บ้านโครงการใหม่ แบบไหนคุ้มค่ากว่ากันในยุคดอกเบี้ยนี้?

การตัดสินใจ ซื้อบ้าน 2569 ถือเป็นก้าวใหญ่ในชีวิต และหนึ่งในคำถามสุดคลาสสิก ที่อยู่ในหัวของทุกคนก็คือ “จะเลื...

211

เทรนด์รีโนเวทเพื่อขาย (House Flipping) ปี2569 แต่งสไตล์ไหน ขายไว กำไรดี

ตลาดอสังหาริมทรัพย์เปลี่ยนแปลงอยู่เสมอ และการลงทุนที่เรียกว่า "House Flipping" หรือการซื้อบ้านมารีโนเวทเพื่...

236

ฮวงจุ้ยบ้านมือสองปี 2569 วิธีดูทิศหน้าบ้านและเคล็ดลับล้างอาถรรพ์ รับทรัพย์ตลอดปีม้า

ปี 2569 ที่กำลังจะมาถึงนี้ ตามหลักโหราศาสตร์จีนถือว่าเป็น "ปีมะเมีย" หรือปีม้า ธาตุไฟ (Fire Horse) ซึ่งเป็น...

283

คลิกเครื่องหมาย เพื่อเพิ่มลงตะกร้าเก็บทรัพย์ที่สนใจ หรือกดอีกครั้งเพื่อลบออก
คลิกเพื่อเลือก บ้านที่ต้องการแล้วกดปุ่ม "เปรียบเทียบ" ได้เลย